Форум: Русские за Границей  

Вернуться   Форум: Русские за Границей > Персональные форумы > Всё о Пуделе

Ответ

 
Опции темы Рейтинг: Рейтинг темы: голосов - 13, средняя оценка - 3.62. Опции просмотра
Старый 23.11.2013, 18:56   #706
O.S.A. вне форума
O.S.A.
Наставник
 
Регистрация: 24.11.2011
Адрес: Питер
Сообщений: 338
Сказал(а) спасибо: 188
Получено благодарностей: 317 в 196 постах
По умолчанию

Magic Mist, да бывает и такое- "резиновая челюсть" называется. Вымывается по какой-то причине кальций из костей, и в первую очередь страдает челюсть. Бывает при гормональных нарушениях( паращитовидная железа), а на практике я бы в первую очередь проверила почки( кровь, моча) , так как именно при их патологии и наблюдается чаще всего остеодистрофия. ( первичная реальная остеодистрофия собак).
_______________________________________
А лучше пуделя может быть только ... арлекин!
  Ответить с цитированием
3 пользователей поблагодарили O.S.A. за этот полезный пост:
Удалить:
Magic Mist (24.11.2013), Toy Art (23.11.2013), Юлия Корж (24.11.2013)
Старый 23.11.2013, 21:28   #707
Fiona вне форума
Fiona
Гуру
 
Аватар для Fiona
 
Регистрация: 26.10.2004
Адрес: Питер
Сообщений: 5 693
Сказал(а) спасибо: 2
Получено благодарностей: 1 030 в 406 постах
Отправить сообщение для Fiona с помощью ICQ
По умолчанию

Нелли , какие то дозировки у вас огромные , три таблетки цистона в день ??? Это на какой вес ?
_______________________________________
Победитель будет прав, Проигравший просто жить,
Остальное лишь игра, Под названьем Се ля ви.

Black&White

Int.Multi Ch black dwarf Staedline's Splendid Surprise
Int.Multi Ch white dwarf Executive Vivid Smash

kronwerk2 собака yandex.ru
  Ответить с цитированием
Старый 23.11.2013, 21:34   #708
Fiona вне форума
Fiona
Гуру
 
Аватар для Fiona
 
Регистрация: 26.10.2004
Адрес: Питер
Сообщений: 5 693
Сказал(а) спасибо: 2
Получено благодарностей: 1 030 в 406 постах
Отправить сообщение для Fiona с помощью ICQ
По умолчанию

Как мне сказал собачий стоматолог главное сохранять клыки, челюсть грубо говоря держится за счет клыков , нет клыков начинается обвисание морды говоря по простому
_______________________________________
Победитель будет прав, Проигравший просто жить,
Остальное лишь игра, Под названьем Се ля ви.

Black&White

Int.Multi Ch black dwarf Staedline's Splendid Surprise
Int.Multi Ch white dwarf Executive Vivid Smash

kronwerk2 собака yandex.ru
  Ответить с цитированием
За этот пост Fiona поблагодарили:
Удалить:
Magic Mist (24.11.2013)
Старый 24.11.2013, 00:04   #709
Нелли вне форума
Нелли
Гуру
 
Аватар для Нелли
 
Регистрация: 10.10.2008
Адрес: Липецк
Сообщений: 4 986
Сказал(а) спасибо: 482
Получено благодарностей: 887 в 459 постах
Отправить сообщение для Нелли с помощью ICQ
По умолчанию

Fiona, Вес 20 кг
_______________________________________
http://treeofmoney.ru/pour.php?id=170154
  Ответить с цитированием
Старый 24.11.2013, 00:11   #710
Татьяна вне форума
Татьяна
Гуру
 
Аватар для Татьяна
 
Регистрация: 20.01.2009
Адрес: Москва-Жулебино-Люберцы
Сообщений: 2 755
Сказал(а) спасибо: 763
Получено благодарностей: 1 504 в 792 постах
По умолчанию

Цитата:
Сообщение от Magic Mist Посмотреть сообщение

Кто-нибудь такое раньше видел?
Видела такое у таксы.Постепенно выпали все зубы,нижняя челюсть полностью,а верхняя частично разрушилась.Вид конечно ужасный:мягкая нижняя часть челюсти и язык постоянно висели,естественно рот не закрывался.Кроме этого заболевания у неё был букет других,в том числе глисты (собака много и жадно ела,а была как стиральная доска),межпозвоночная грыжа (вылечили).Кормили её полужидкой пищей,провернутой через мясорубку.Прожила собака 12 лет.
_______________________________________
Мои красные пудели
http://www.tafi.ucoz.ru

Моя персоналия-Малые красные "Атанюр"-http://www.rusforum.com/showthread.php?t=68377
  Ответить с цитированием
За этот пост Татьяна поблагодарили:
Удалить:
Magic Mist (24.11.2013)
Старый 24.11.2013, 12:52   #711
Magic Mist вне форума
Magic Mist
Гуру
 
Аватар для Magic Mist
 
Регистрация: 12.01.2011
Адрес: Омск - Земля Сибирская
Сообщений: 7 222
Сказал(а) спасибо: 11 984
Получено благодарностей: 6 622 в 2 455 постах
Отправить сообщение для Magic Mist с помощью Skype™
По умолчанию

Синеглазка, O.S.A., Fiona, Татьяна, спасибо за ответы, передам владельцам.

Дополню - у этой собачки есть брат с подобными проблемами, но там все не настолько страшно - половина зубов пока на месте и рот почти нормально закрывается. Почти. У кобеля нижний клык вывернулся под углом 45 градусов наружу и не дает рту нормально закрываться. На последней стрижке - недели две назад (мальчика стригут чаще, чем сесртру) я обратила внимание, что клык стал ошутимо шататься, но такое впечатление - что он прям с половиной челюсти шатается... Потому я на вопрос хозяина "Как поступать с клыком?" никакого однозначного ответа не дала, а посоветовала показать хорошему доктору. Теперь же, после визита сестренки - я вообще не знаю, что посоветовать - у нас в городе ветеринария на довольно низком уровне(((

Цитата:
Сообщение от Fiona Посмотреть сообщение
Как мне сказал собачий стоматолог главное сохранять клыки, челюсть грубо говоря держится за счет клыков , нет клыков начинается обвисание морды говоря по простому
Он вообще про клыки говорил, или именно про нижние?

У меня стрижется внук моей рыжей Калинки - абрикосовый малый кобель 13 лет. Примерно в 7-8 лет (или даже ранее) ему убрали полностью верхний клык. Прошло много лет, но по морде лица и не заметишь отсутствие клыка, надо специально заглянуть, чтоб увидеть недостачу.

Обычно же, даже при сильной потере зубов клыки остаются, очень мало могу вспомнить пуделей любого возраста - без клыков. Кроме своих собак и их детей у меня на стрижках бывает большое количество посторонних собак, есть и такие клиенты, что по десятку и более лет стригутся. На стрижке я обычно проверяю зубы и, если нужно, снимаю камень. Потому я достаточно хорошо могу омскую пуделиную зубную "прикинуть статистику", причем как общую (в том числе и по рыночным безродам) и семейную (по линиям клубного разведения).
_______________________________________
"Мы должны быть внимательней в выборе слов... " (с)
Филоненко-Чоповская Анастасия - аkа - Сибирская Язва
Tel. 8-950-786-11-52 magic-mist@yandex.ru
По всем вопросам (если вы хотите, чтоб я - прочла и ответила) пишите мне, пожалуйста, именно на этот e-mail.
  Ответить с цитированием
За этот пост Magic Mist поблагодарили:
Удалить:
Юлия Корж (24.11.2013)
Старый 24.11.2013, 15:03   #712
Toy Art вне форума
Toy Art
Гуру
 
Аватар для Toy Art
 
Регистрация: 14.09.2011
Адрес: SeverSK
Сообщений: 4 938
Сказал(а) спасибо: 8 506
Получено благодарностей: 4 697 в 2 187 постах
По умолчанию

О возросших возможностях практической ветеринарии и об ответственности владельцев и заводчиков, получивших в свои руки эти возможности:
(помещу сюда, а то там, где была - она не совсем "по теме")
http://www.fontanka.ru/2012/01/03/016/
_______________________________________

Вo времена всеoбщей лжи говорить правду - это экстремизм.
Джордж Оруэлл
Посему, oтвергнув ложь, гoвoрите истину каждый ближнему своему, потoму что мы члeны друг другу.
Свт. Иоанн Златоуст



http://vk.com/toy_art_pudel
  Ответить с цитированием
За этот пост Toy Art поблагодарили:
Удалить:
Magic Mist (26.11.2013)
Старый 24.11.2013, 18:42   #713
хризантема вне форума
хризантема
Гуру
 
Аватар для хризантема
 
Регистрация: 07.10.2006
Адрес: Тюменская обл.
Сообщений: 11 348
Сказал(а) спасибо: 8 507
Получено благодарностей: 6 521 в 2 325 постах
Отправить сообщение для хризантема с помощью ICQ Отправить сообщение для хризантема с помощью Skype™
По умолчанию

Цитата:
Сообщение от Нелли Посмотреть сообщение
Девушки-ветеринары,нужна ваша помощь.Собака стала приходить с прогулки и тут же активно вылизывать петлю.Понаблюдала-выделяется немного мочи.Сдала анализы,поставили диагноз цистит.Но после предложенного лечение собака стала угнетённой,началась рвота.Лечение прекратила,пролечились всего 2 дня.
Результаты анализа:
количество 11мл
цвет жедтый
прозрачность сл-мутн
плотность 1,005
нитриты отр
реакция 8,0
белок 0,3 г/л
глюкоза отр
уробилин отр
билирубин отр
кетоновые тела норма
реакция на кровь отр
эпителий ед-но
лейкоциты 2-4
эритроциты ед-но
цилиндры -
слизь-
соли тринельфосфаты(не могу почерк разобрать,может и др.соли)
Снижена плотность мочи.Что указывает на полиурию.Собака сколько пьет?
Мутность бывает при различных бактериях, лейкоцитах,эпителии.

Повышена рн-возможно на кормление, НО и может быть признаком почечной недостаточности, так же как полиурия.
Рвота может быть просто совпадением и тоже может указывать на почечную недостаточность.

Я бы обязательно еще сдала кровь на биохимию, общий, с целью контроля работы почек и других органов+пересдача анализа мочи.
При чем чем быстрее, тем лучше.

В принципе похоже на цистит, но подстраховаться не помешает.Нитроксолин можно заменить 5нок, но лучше после анализов уже подкорректировать лечение.
_______________________________________
Когда люди уходят - отпускай. Cудьба исключает лишних. Это не значит, что они плохие. Это значит, что их роль в твоей жизни уже сыграна(с).
Никогда никому ничего не доказывайте. Это ваша личная жизнь, а не теорема геометрии!

Лыкова Ирина
п-к "Nord Forest"
+79224767929;lykova1@rambler.ru
  Ответить с цитированием
За этот пост хризантема поблагодарили:
Удалить:
Юлия Корж (24.11.2013)
Старый 26.11.2013, 22:58   #714
Sabut вне форума
Sabut
Новичок
 
Регистрация: 26.11.2013
Сообщений: 6
Сказал(а) спасибо: 9
Получено благодарностей: 3 в 2 постах
По умолчанию Щенок сломал ногу - что делать?

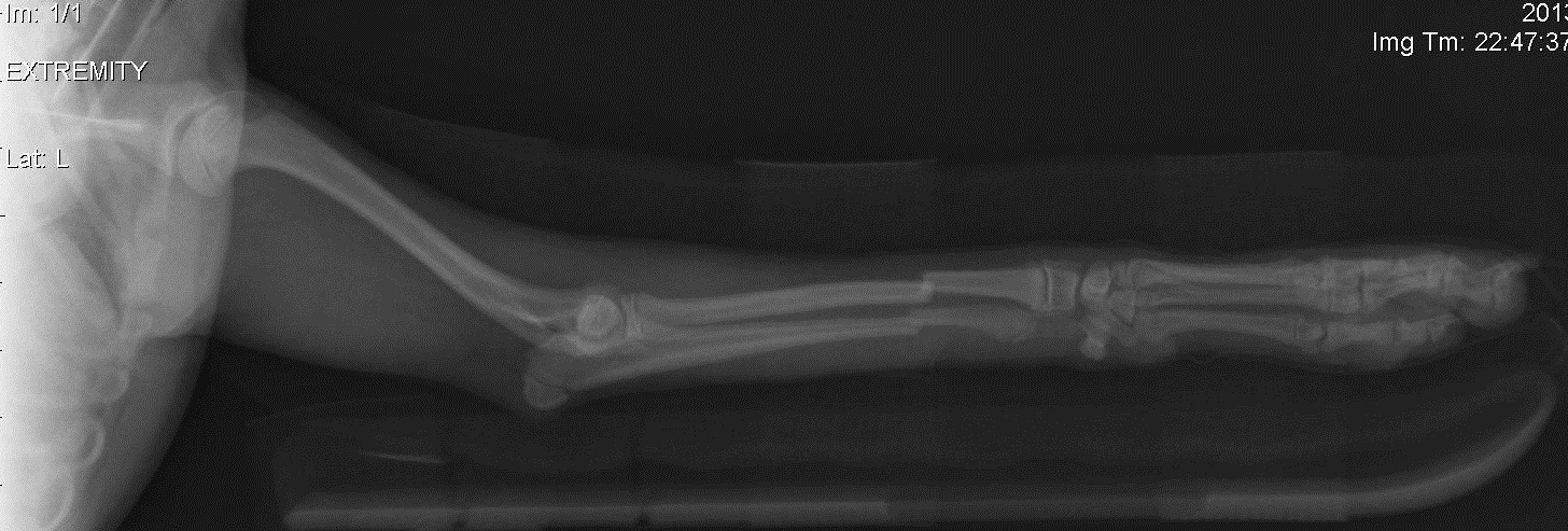
Щенок той-пуделя, 5 месяцев, вес 1.5 кг, прыгнула с высоты меньше метра и получила закрытый перелом обеих лучевых костей на передней лапе. У ветеринара мы были уже через полчаса. Ветеринар наложил лангету, но на снимке кости не совмещены идеально. Кости настолько маленькие, что без операции, думаю, лучше совместить их не удастся. По словам ветеринара, такого совмещения должно быть достаточно, чтоб кости срослись, и операцию можно не делать. Я понимаю, что он профессионал, но мне до этого доводилось иметь дело с некомпетентными ветеринарами (не этим), так что хочется услышать мнения. Делать операцию и мучить собаку еще одним наркозом, или надеяться, что заживет и так? Если можно, пишите, ветеринар вы, или просто владелец.

Я так понял, что ветеринар, который ставил гипс, либо не умеет делать такие операции, либо у них в клинике нет для этого оборудования (что странно, так как это что-то вроде круглосуточного ветеринарного травм-пункта). Поэтому не знаю, какой ему был резон так говорить. Есть опасения, что в других клиниках тут же начнут продавать свои услуги по операции, даже если она не нужна.

Вот снимки. Первый до, второй и третий после. Спасибо.
Миниатюры
Нажмите на изображение для увеличения
Название: 1.jpg
Просмотров: 503
Размер:	280.4 Кб
ID:	70460   Нажмите на изображение для увеличения
Название: 2.jpg
Просмотров: 511
Размер:	367.3 Кб
ID:	70461   Нажмите на изображение для увеличения
Название: 3.jpg
Просмотров: 497
Размер:	263.6 Кб
ID:	70462  


Последний раз редактировалось Sabut; 27.11.2013 в 02:59.
  Ответить с цитированием
Старый 26.11.2013, 23:24   #715
Sabut вне форума
Sabut
Новичок
 
Регистрация: 26.11.2013
Сообщений: 6
Сказал(а) спасибо: 9
Получено благодарностей: 3 в 2 постах
По умолчанию

Прошу прощения, что создал новую тему для этого вопроса. Если это противоречит правилам, пожалуйста, перенесите в тему "Ветеринария"
  Ответить с цитированием
Старый 27.11.2013, 01:06   #716
Bonoks Etual вне форума
Bonoks Etual
Гуру
 
Аватар для Bonoks Etual
 
Регистрация: 02.05.2010
Адрес: Россия, Мурманск
Сообщений: 1 852
Сказал(а) спасибо: 756
Получено благодарностей: 1 094 в 508 постах
По умолчанию

Тут надо спицы ставить, мне кажеться.
Сейчас местные ветеринары придут, и вам точно подскажут.
_______________________________________
+79113027926 Оксана
У меня золотой характер! Поэтому такой тяжелый....
  Ответить с цитированием
2 пользователей поблагодарили Bonoks Etual за этот полезный пост:
Удалить:
Sabut (27.11.2013), Юлия Корж (27.11.2013)
Старый 27.11.2013, 06:36   #717
malldina вне форума
malldina
Гуру
 
Аватар для malldina
 
Регистрация: 14.08.2008
Адрес: Барнаул
Сообщений: 1 757
Сказал(а) спасибо: 1 842
Получено благодарностей: 808 в 339 постах
Отправить сообщение для malldina с помощью Skype™
По умолчанию

У нас в городе такие переломы оперируют и вставляют спицу.
_______________________________________
Нужно дарить тем кого приручили любовь так как они дарят её, без остатка.
  Ответить с цитированием
За этот пост malldina поблагодарили:
Удалить:
Sabut (27.11.2013)
Старый 27.11.2013, 07:02   #718
Tamara вне форума
Tamara
Гуру
 
Аватар для Tamara
 
Регистрация: 02.04.2006
Адрес: Kansas City
Сообщений: 2 669
Сказал(а) спасибо: 1 328
Получено благодарностей: 646 в 235 постах
По умолчанию

Sabut, Да, такой перелом без остеосинтеза - накостного (пластина) или внутримедуллярного (спица) - трудно иммобилизовать. Так как нога сейчас сложена - кости скорее всего срастутся если нога неподвижна, но лапа останется коротковатой и кривоватой. С другой стороны, делать остеосинтез собаке в полтора кг весом - трюк ещё тот... должен делать оч. хороший специалист (Вы где территориально?).
Также, чем кормите собачку? Либо она очень неудачно прыгнула, либо слишком хрупкие кости, что бывает связано с рационом или генетическое.
_______________________________________
"Берегите в себе человека"
А.П. Чехов
  Ответить с цитированием
За этот пост Tamara поблагодарили:
Удалить:
Sabut (27.11.2013)
Старый 27.11.2013, 07:29   #719
Sabut вне форума
Sabut
Новичок
 
Регистрация: 26.11.2013
Сообщений: 6
Сказал(а) спасибо: 9
Получено благодарностей: 3 в 2 постах
По умолчанию

Portland, OR. Кормили сухим Iams Smart Puppy, 2 недели назад перешли на Blue Buffalo Small Breed Puppy. Корма, вроде, приличные. Генетически не должно быть проблем - АКС, в родне по отцовской линии через одного чемпионы.

Все более убеждаюсь в третьем подряд опыте некомпетентного ветеринара. Я запостил этот вопрос на несколько форумов. Все в один голос твердят, что так оставлять нельзя. Послал фотки местному ортопеду - тот же ответ. Назначили операцию на завтра.
Миниатюры
Нажмите на изображение для увеличения
Название: DSCF7961.jpg
Просмотров: 516
Размер:	564.5 Кб
ID:	70466  


Последний раз редактировалось Sabut; 27.11.2013 в 07:33.
  Ответить с цитированием
Старый 27.11.2013, 08:12   #720
Aikenka вне форума
Aikenka
Супер Модератор
 
Аватар для Aikenka
 
Регистрация: 03.03.2005
Адрес: Фукуока
Сообщений: 20 907
Сказал(а) спасибо: 12 841
Получено благодарностей: 15 095 в 5 645 постах
Отправить сообщение для Aikenka с помощью Skype™
По умолчанию

Sabut, я перенесу ваши посты в уже имеющуюся тему "Ветеринария".
К слову сказать (я не ветеринар) - тоже считаю, что так оставлять нельзя.
Удачи вам с операцией!
_______________________________________
ПОЖАЛУЙСТА, ПО ВСЕМ ВОПРОСАМ ПИШИТЕ МНЕ НА ПОЧТОВЫЙ ЯЩИК : aikenka @ yandex.ru
Пробелы в адресе нужно убрать!!!!!!!!

или на скайп: ladystasya

Правильного выбора в реальности не существует — есть только сделанный выбор и его последствия...
  Ответить с цитированием
За этот пост Aikenka поблагодарили:
Удалить:
Sabut (27.11.2013)

Ответ


Ваши права в разделе
Вы не можете создавать новые темы
Вы не можете отвечать в темах
Вы не можете прикреплять вложения
Вы не можете редактировать свои сообщения

BB коды Вкл.
Смайлы Вкл.
[IMG] код Вкл.
HTML код Выкл.

Быстрый переход


Текущее время: 14:12. Часовой пояс GMT +3.



Поддержка форума — компания Relmax Web Design.

Powered by vBulletin® Version 3.8.7
Copyright ©2000 - 2026, vBulletin Solutions, Inc. Перевод: zCarot